Le site de la papeterie d'Odet et son alimentation en eau
Les origines du moulin d'Odet, à travers ses cours d'eau (Odet et Bigoudic), son écluse et canal d'amenée, ses trois moulins (Coat-Piriou, Odet et Mouguéric). Le tout est accompagné des explications techniques et des croquis de Mann Kerouredan, et quelques photos d'Henri Chauveur.

Autres lectures : « La création de la manufacture d'Odet et ses fondateurs » ¤ « ANDRÉ-FOUET (abbé) - Discours des Fêtes du Centenaire » ¤ « 1923 - Dossier de relèvement du barrage de la papeterie d'Odet » ¤ « Notes et croquis de Mann Kerouredan, jeune papetier d'Odet » ¤ « Mann Kerouredan raconte la fabrication du papier » ¤ « Cartes du lieu-dit » ¤ « Les Rospape, boucher, épouses de forgerons, et meuniers de père en fils » ¤ « 1847 - Etat de stus et renable des moulins blanc et roux de Coat-Piriou » ¤
Le vieux moulin d'Odet
Longtemps on a cru que le canal d’amenée de la papeterie fut la seule source d'eau de la papeterie et qu'il était en fonction dès les débuts de la manufacture de Nicolas Le Marié en 1822. En effet, en 1922 lors de la fête du centenaire, l’abbé André-Fouet présentait les choses ainsi :
« Que de transformation à Odet depuis ce printemps de l'année 1821, où un cavalier de 24 ans parcourait cette région plus déserte, plus chaotique, plus désolée alors que le Stangala [...]. Ce cavalier, c'était Nicolas Le Marié [...]. A cette époque, dans nos régions, on utilisait bien peu la houille blanche comme moteur industriel : [il] voulut faire coup double en s'en servant pour fonder une papeterie. La chute d'eau était à créer : pour l'obtenir, il fallait détourner l'Odet sur une longeur de 1.500 mètres. »
Mais au fait, au début du 19e siècle, le site d'Odet était-il aussi aride que l’abbé le prétend ? Si c'était le cas, comment était alimenté le moulin qui pré-existait avant la manufacture de papier.
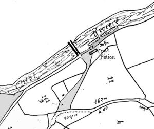
Ce moulin donnait son nom au lieu-dit : « Meil-Odet ». On dispose du croquis ci-dessus du moulin (publié dans le livre d'or des Papeteries en 1930), et on le localise bien sur le bras du ruisseau du Bigoudic qui se jette dans l'Odet, à environ 70 mètres à l'arrière du manoir dont on identifie le pignon nord-ouest. Ce croquis est la reproduction à l'identique d'une photo ancienne, ce cliché historique montrant un peu plus de perspective sur la rive droite de l'Odet
Si on reconstitue les différents bâtiments des années en basant sur les cartes industrielles et cadastrales, on peut facilement localiser ce vieux moulin, dont la roue motrice servait de génératrice d'électricité.
Le ruisseau du Bigoudic
Sur le cadastre de 1834, on remarque deux tronçons de cours d’eau, le premier étant le ruisseau Bigoudic, affluent de l’Odet et prenant sa source plus au sud et s’écoulant le long de la route de Stang-Venn ou Lestonan. Le deuxième tronçon est situé entre le site de la papeterie et le 2e tournant amont de l’Odet.
Ce dernier tronçon était vraisemblablement en prolongation du Bigoudic, s’écoulant en pente vers l’Odet. Le cours naturel du ruisseau allant en chute d'eau vers l'Odet, les papetiers avaient ajouté cette dérivation en creusant dans la roche pour permettre l'évacuation du trop plein en cas de crues. De plus les « vieux » filtres à sable placés le long de la dérivation avaient bien comme raison d'être d'éliminer des impuretés du cours d'eau, et l'eau filtrée était amenée aux machines à papier par des canalisations.
En raison de la pente, il est donc improbable que ce cours d'eau s'écoulait dans le même sens que le canal d'amenée. La longueur de la dérivation est à peine un cinquième du canal actuel, ce qui laisse à penser que son débit n’était pas suffisant pour remonter la pente. Aujourd’hui il ne reste de ce tracé qu’un fossé asséché, et on n’y trouve pas de terrassement artificiel, ce qui laisse à penser que le tronçon en question était la continuation du Bigoudic vers l’Odet.
|
Le Bigoudic donnait non seulement un excellent papier à cigarettes, mais c’était aussi une réserve de truites et d’anguilles. Les braconniers locaux ne s’en privaient pas. Les anguilles arrivaient même à bloquer les directrices de la turbine hydraulique de l’usine ! Le dernier ruisseau venant alimenter le Bigoudic descend de Stang-Venn dans la prairie avant Ti-Coat. Non loin la fontaine « Feunteun Park Toulgurn » donnait une très bonne eau de consommation. |
L'eau arrivait par un tuyau de 100 ; tout le quartier venait avec différents récipients chercher son eau. Plus loin un lavoir où de nombreuses lavandières venaient de Keranna laver leur linge, et les Konchennoù allaient « bon train ». Anna Ti-Coat était ainsi au courant des histoires locales, vraies ou fausses, et faisait profiter tout le monde. Ca partait souvent dans des éclats de rire interminables. Joyeuse époque révolue ! | |
Besoins en eau de l'usine
L’histoire de la papeterie nous apprend qu’en 1886-88 la production de la vapeur nécessaire aux rouleurs sècheurs est assurée par une chaudière. Le cadastre de la commune d’Ergué-Gabéric indique qu'une « machine à vapeur » en tant que construction nouvelle fut achevée en 1886 et déclarée aux impôts l’année 1889.
Il fallut donc alimenter en eau la chaudière qui produisait la vapeur. Le ruisseau du Bigodic était peut-être suffisant pour la grande roue (qui sera conservée pour la production d'électricité), mais avec les besoins croissants de vapeur, l'idée d'un canal d'amenée fut vite à l’ordre du jour.
En plus de son apport énergétique, l’eau était un composant essentiel à la production de la pâte à papier, et ce en quantité de plus en plus importante.
Pour faire fonctionner l’usine, l’entrée du canal d’amenée doit être plus haut de 5m 20 par rapport au cours de l’Odet, car sinon il n’y a aucune chance que l’usine puisse être alimentée dans sa partie sud.
Pour amener un débit d’un m3 par seconde à plus de 5 mètres du niveau naturel, l’entrée du canal doit être suffisamment éloignée, par exemple du côté du moulin de Coat-Piriou, à 1.500 mètres de l’enceinte de l’usine. Des travaux énormes de terrassement sont nécessaires pour que le débit du canal soit suffisant pour refouler le Bigoudic.
Avec l’arrivée du canal le deuxième tronçon du Bigoudic est supprimé et ce dernier et le canal peuvent se jeter dans l’Odet plus en aval. Sur le plan de F Le Gars du 4 juillet 1925, on peut encore voir les trajets souterrains du canal et du Bigoudic.
Le barrage du canal
Quand l’entrée du canal à Meil-Coat-Piriou fut mise en eau ? Avant 1921-22 car le discours de l’abbé cité en début d’article mentionnait explicitement son existence en attribuant même la paternité à Nicolas Le Marié.
Des archives de l’exploitation agricole du Kreisker en Briec apportent des précisions. On y apprend qu’en 1923 le barrage fait l’objet de relèvement, et sur place on découvre effectivement en bas des prairies du Kreisker un muret sur une longueur plusieurs centaines de mètres.
« Du 9 juin 1925.
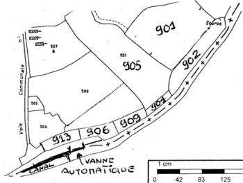
Monsieur Bolloré est propriétaire d’une usine dite « Papeteries d’Odet », ainsi que tous accessoires et dépendances comprenant entre autres un canal d’amenée dont l’entrée est établie au moyen d’un barrage appuyé sur la rive droite de la rivière de l’Odet, contre la prairie cadastrée sous le numéro 906 de la section I de la commune de Briec, qui a été acquise par Monsieur Nicolas Le Marié, ancien propriétaire de cette usine, aux termes d’un contrat reçu par Me Plunier, notaire à Briec, le 17 mars 1852 […]
Les travaux de relèvement du barrage exécuté conformément aux plans annexé à l’arrêté de la Préfecture du Finistère en date du six novembre 1923, étant terminés, et afin d’assurer l’écoulement des eaux de ladite propriété du Gresquer et prévenir, dans la mesure du possible, les inondations dans l’étendue des numéros 902, 903, 904, 905, 906P, et 909, section I de la commune de Briec les comparants ont arrêté […]
Article premier. Monsieur Le Ster reconnaît la régularité de ce relèvement et autorise Monsieur Bolloré à faire construire ou édifier sur les numéros 902, 904, 909 et 906, un talus en mottes, terres, ciment ou poteaux en ciment armé […] »
Un talus a été adjoint conformément à l’accord entre le propriétaire du Kresquer et René Bolloré. Ces travaux constituaient des mesures de protection contre les inondations que le barrage pouvait causer accidentellement quand les pluies étaient abondantes.
En fait cet accord fait suite à la demande de réhaussement du barrage faite par René Bolloré au préfet en 1923. Les documents conservés aux archives municipales nous apprennent que le barrage était en fonction depuis les années 1875-1880, ce grâce à la remarque formulée par l'entrepreneur : « Le mot relèvement est improprement employé puisqu'il s'agit en réalité, de la stabilisation définitive d'un état de faits qui existe depuis 40 ou 50 ans ».
Le barrage à l’origine appuyé à la parcelle 906 était exactement à l’endroit où l’écluse avec vanne automatique fut installée sans doute quelques années après. Cette vanne est une merveille technologique. Ses deux axes étaient parfaitement alignés et horizontaux, et soutenir une charge d’au moins 5 tonnes.
Quand l’eau monte sur le plateau de la vanne, les flotteurs montent dans leurs logements respectifs. Quand l’eau descend, l’effet inverse se produit. Le but est d’avoir une hauteur d’eau suffisante dans le canal.
Le poids des contrepoids en béton est inférieur au poids des flotteurs et de la vanne. La hauteur d’eau suffit donc pour déclencher l’auto-régulation. Ce système a très bien marché jusqu’à ce que des casseurs ne passent par là.
En janvier 2009, les crémaillères d’une vanne manuelle ont cédé sous la pression de l’eau. Depuis quelques années le tablier avait quitté la glissière du pilier.
Un moulin à Coat-Piriou
A quelle date l'exploitation du moulin de Coat-Piriou fut arrêtée ? Vraisemblement après l'aménagement du barrage-écluse de régulation du canal.
En 1834, sur l’ancien cadastre il n’y a pas d’ambigüité : les positions du moulin et du bief sont marquées, et le nom des parcelles sont bien libellées « meil » ou « veil ».
En 1914, dans un boite numérotée 1024 des archives municipales d’Ergué-Gabéric, on trouve 28 chemins décrits et cartographiés, dont celui de Coat-Piriou. Sur ce plan le moulin est placé le long de son bief, mais sans indication du cours du canal. Cette carte semble représenter là une situation antérieure, car comme expliqué plus haut, en 1923 il y a un barrage « qui existe depuis 40 ou 50 ans ».
Le dernier acte de naissance d’un enfant de meunier date de 1858. Dans l’acte le père et les deux témoins sont meuniers.
« 16 mars 1858, L’an mil huit cent cinquante huit, le seize à deux heures du soir par devant nous Maire et officier de l’état civil de la commune d’Ergué-Gabéric canton de Quimper département du Finistère a comparu Hervé Hiliou âgé de 39 ans, meunier au lieu du Moulin de Coat Piriou en cette commune, lequel nous a présenté un enfant du sexe féminin née ce matin au dit lieu à une heure, de lui déclarant et de Madame Quiniou son épouse âgée de 34 ans, auquel les prénoms de Marie-Renée. Ces déclarations et présentation ont été faites en présence de Louis Hiliou âgé de 22 ans et de Joseph Pétillon âgé de 32 ans, meuniers en cette communes, lesquels avec le père ont déclaré ne savoir signer après lecture. »
Après les travaux de destruction du moulin, la petite maison d’habitation fut conservée, et une autre construite plus loin. Au siècle dernier ces maisons étaient désignées du nom de leurs habitants respectifs : « Ti Tin Pennec Koz » et la maison de Mao ou Cogent.
Balade au bord du canal
Les matériaux de construction utilisés pour le canal d'amenée :
L'ensemble vanne + tunnel ci-dessous a été réalisé sans béton, entièrement en pierres de taille, par des maçons décédés maintenant depuis plus d'un siècle. Et depuis ce temps-là pas la moindre mauvaise herbe entre les pierres.
Voici à quoi ressemblait l'entrée du chemin de l'écluse dans les années après guerre 1939-45. Quand le portail était fermé il n'était pas possible d'y faire entrer une brouette !
Annotations
